Активами екс-власника збанкрутілого Дельта Банку Миколи Лагуна, щодо якого нещодавно було запроваджено санкції РНБО за співпрацю з росією, може керувати підставна особа – Максим Чернов, який має стосунок до кількох компаній, що надають освітні послуги. Про це йдеться в матеріалі видання Коротко.Про. Видання також відзначає, що Чернов може бути повʼязаний із низкою офшорних компаній, де може представляти інтереси Лагуна.
Видання відзначає, що Чернов, ймовірно, став “єдиним вікном” з управління активами Лагуна. Відтак саме через звʼязки з ним можна відслідкувати, на кого екс-банкір переписав статки. За даними журналістів, Чернов також відомий під прізвищем Наконечний, яке він з невідомих причин змінив кілька років тому. Нині він є засновником ТОВ “Клеверлі Україна” (компанія з організації навчання за кордоном) та туристичного агентства ТОВ “Лакі Стрім”. Також на сторінці в LinkedIn Максим вказав, що співпрацює з E-Learning Quality Network – це американська компанія з організації освітніх процесів.
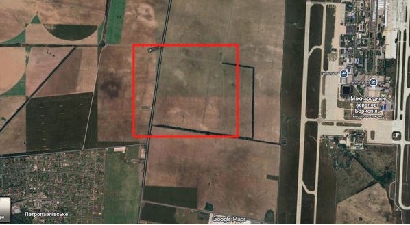
“Прямий звʼязок з Лагуном Чернов засвітив в 2021 році, коли на нього було переписано 16 земельних ділянок Антоніни Лагун в Бориспільському районі Київської області в селі Гора загальною площею близько 13 га…. Оскільки там досі нічого не відбувається, можна зробити висновок, що ділянки просто перебувають “на перетримці” до часів, які дозволять Лагуну і родині знову ними розпоряджатися”, – сказано в матеріалі.

Автори відзначають, що попри непримітність Максима Чернова, він є ключовою особою з контролю над все ще діючими активами Лагуна, якому, серед іншого, звітують інші підставні особи екс-банкіра. “Впливовість Чернова повʼязана із тим, що Лагун давно і плідно співпрацював з його матірʼю – Людмилою Василівною Наконечною, колишньою директоркою Чернігівського пивзаводу, а згодом генеральним директором пивного гіганта “СанІнБев Україна”, для якого Чернігівський регіон був базовим. Як відомо, Микола Лагун родом з Семенівки Чернігівської області. А серед його активів навіть є комунальні компанії з цього регіону”, – додають автори.
Також, за даними журналістів, одна з компаній, в якій Чернов володіє 50% частки, ймовірно може повʼязувати його із промисловими активами через низку офшорних прокладок на Домінікані та в Белізі. Йдеться про ТОВ “Лакі Стрім”, яку вони заснували навпіл з юристкою Анною Антоненко з Києва.
“Антоненко, в свою чергу, є засновницею ТОВ “Правова позиція”, 10% частки в якій належить фірмі “Ворлд Праймтайм Лімітед”, яка зареєстрована в Домініці. Крім юридичної фірми, компанія також була понад 10 років тому засновником ТОВ “Води Таврії”, ТОВ “Торф Україна”, а також ПрАТ “Донецькриба” (зараз перереєстровано за законами росії, нові “власники” судяться з офшорними “українськими” акціонерами, щоб ті віддали свої частки). Серед інших оффшорів, які володіють “Донецькрибою” – Expotrade Systems Limited з Домініки та Fosbrook з Беліза. Остання також заснувала ТОВ “Спецтехресурс ЛТД” разом з ТОВ УК “Аврора”, якою раніше також керувала Антоненко. Бенефіціаром була ще одна фірма з Беліза – Veon Development. Частина компаній ймовірно є парасольковими, частина уже не працює. За цією мережею і контролем над частиною активів стоїть саме Чернов, який діє від імені Лагуна”, – додають автори.
Видання також нагадує, що Лагун активно виводить свої активи з-під впливу уже відомих підставних осіб. Наприклад, замість його колишнього директора Вадима Сергієнка ключовою бізнес-структурою Лагуна – компанією з управління активами “Скай Кепітал Менеджмент” (зараз ТОВ КУА КЕП), яка володіє корпоративними правами на компанії з сотнями гектар земельних ділянок та цінними паперами виробничих фірм – тепер володіє громадянин Таджикістану.
КУА належали права на компанії ТОВ «Черніград», ТОВ «БородянІнвестментс», ТОВ «Білград», ТОВ «Крем-1», ТОВ «Консепт Холдінг». ТОВ «Консепт Холдінг» в 2021 р. була передана від КУА компанії АУРІЕМА ЛІМІТЕД (Кіпр), бенефіціар Чабала Олександр Григорович. Компанії належать 99 земельні ділянки в с. Бистриця на Івано-Франківщині загальною площею 172 га. З них 52 ділянки 2015 року були передані в компанію особисто Лагуном.
Серед інших підставних менеджерів – син колишнього голови держказначейства в Київській області Петра Миколенка Олексій, чоловік екс-народної депутатки від Партії регіонів Лариси Мельничук – Геннадій Литвин.
“Фактично всі ці люди зараз є потенційним обʼєктом уваги для правоохоронних органів та Служби безпеки, адже їхні подальші контакти і взаємодія з Лагуном, у тому числі в частині фінансових розрахунків, тепер будуть вважатися порушенням санкційного режиму та низки статей кримінального кодексу», – підкреслює видання, додаючи, що така діяльність у випадку її здійснення може розглядатися як колабораціонізм, фінансування тероризму або відмивання коштів, здобутих злочинним шляхом.